Ihr Bauplatz
13125 BERLIN-PANKOW – BUCH
Baugrundstück in schöner Stadtrandlage sucht Familienanschluss
250.000 EUR
Grundstück ca. 819 m²
Kaufpreis 250.000 EUR
Anbieter
  • Ulf Sobeck
  • Shop Berlin - Pankow
  • Florastraße 1
  • 13187 Berlin
Bewerbung wird geladen...

Immobilienanfrage

Füllen Sie das Formular aus und unsere Immobilien-Experten melden sich in Kürze bei Ihnen.

Ihre persönlichen Daten

Ihre Bewerbung wird vertraulich behandelt.

Übersicht

Highlights

Details

Objektnummer

25071015T1

Haustyp

Grundstück

Provision

Käuferprovision beträgt 7,14 % (inkl. MwSt.) des beurkundeten Kaufpreises

Energieinformationen

Zum Zeitpunkt der Anzeigenerstellung lag kein Energieausweis vor.

Beschreibung

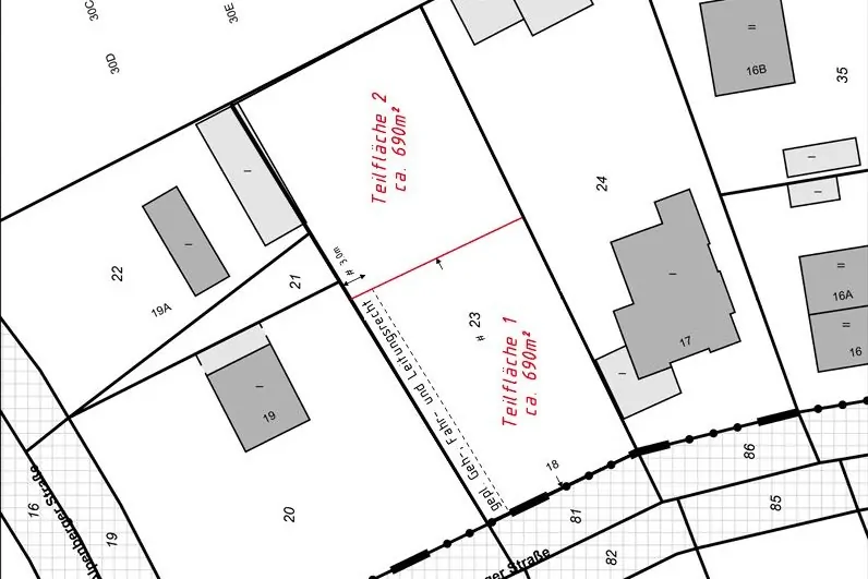
Das von uns offerierte Grundstück mit einer Fläche von ca. 690 m² (zuzügliche ca. 129 m² Straßenland) befindet sich im Stadtteil Berlin-Buch in unmittelbarer Nähe zum Helios-Klinikum. Es handelt sich um ein noch zu vermessendes Teilstück eines ca. 1508 m² großen Grundstücks in ruhiger Stadtrandlage, das nahezu plan zum Straßenraum liegt. Ein Erschließungsweg für das hintere Teilgrundstück verläuft linksseitig. Das Grundstück kann zur Realisierung eines größeren Bauprojektes oder zum Bau von zwei Einfamilienhäusern natürlich auch in Gänze erworben werden.

Auf dem vorderen Teilgrundstück, das hier zum Verkauf steht, befindet sich derzeit ein 1984 in massiver Bauweise errichteter Wochenendbungalow, eingebettet in einige größere Anpflanzungen, die dem Grundstück seinen besonderen Charme verleihen. Bei einem Einfamilienhausbau könnten diese erhalten bleiben. Eine Fällung ist also nicht zwingend erforderlich. Das Grundstück ist bereits mit Wasser, Abwasser und Strom erschlossen.

Das direkte Umfeld ist durch Einfamilien- und Doppelhäuser geprägt. Das Grundstück kann im Rahmen der Nachbarbebauung (§ 34 BauGB) bebaut werden. Ein zu errichtendes Gebäude muss sich nach Art und Maß der baulichen Nutzung, der Bauweise und der überbauten Grundstücksfläche in die nähere Umgebung einfügen. Nach mündlicher Rücksprache mit dem Bauamt ist die Realisierung eines ein- bzw. zweigeschossigen Wohngebäudes möglich. Die Kosten für die Vermessung, den Abriss des Bestandsgebäudes, die Erschließung sowie sonstige Kosten sind vom Erwerber zu tragen.

Gern zeigen wir Ihnen den Platz für Ihr Traumhaus im Rahmen eines Besichtigungstermins und freuen uns auf Ihre Anfrage.

Weiterlesen

Lage

Nahversorgung
Gastronomie
1,8
 / 5
Gesundheit
3
 / 5
Freizeit
1,6
 / 5
Familie
Einkaufen
Geräusche
icon Sehen Sie diese und weitere Daten mit Ihrem Kundenkonto – kostenlos
Melden Sie sich an oder registrieren Sie sich in wenigen Minuten, um alle Angaben sehen zu können.
icon Weitere Angaben freischalten
Beschreibung

Berlin-Buch wird auch „die Gesundheitsstadt“ genannt. Rund ein Drittel des Pankower Ortsteils besteht aus Geländen von Kliniken, Pflegeeinrichtungen, Forschungsinstituten sowie Unternehmen der Biotechnologie und Medizintechnik. Der große Biotech-Park auf dem Campus Berlin-Buch genießt international großes Ansehen als exzellenter Wissenschaftsstandort für Forschung und Entwicklung.

Berlin-Buch hat jedoch weit mehr zu bieten. Die besonders grüne und ruhige Lage in direkter Nachbarschaft zum Naturpark Barnim, ausgedehnte Wälder, herrliche Seen und der großzügige Schlosspark bieten Möglichkeiten für Ausflüge, Sport und Erholung und laden zu langen Radtouren, Spaziergängen und Naturerlebnissen ein. Kitas in verschiedenen Trägerschaften, Grund- und Oberschulen sowie alles, was man für das tägliche Leben benötigt, sind fußläufig erreichbar – Bäckereien, Supermärkte, Ärzte und Apotheken. Die Schlosspark-Passage bietet vielfältige Shoppingmöglichkeiten.

Berlin-Buch verfügt über eine optimale Verkehrsanbindung in das Berlin Stadtzentrum. Innerhalb von 20 bis 30 Minuten sind die wichtigsten Ziele per S-Bahn erreichbar – dazu gehören die Friedrichstraße, der Potsdamer Platz sowie der Hauptbahnhof als wichtigster S- und U-Bahnknoten Berlins. Über die B 2 oder die A 10 gelangt man auch mit dem Auto schnell und bequem ins Zentrum oder in andere Berliner Stadtteile.

Buch – grün, ruhig und doch Berlin – ein Standort mit Zukunftsperspektive!

Weiterlesen

Finanzierung

Sie interessieren sich für eine Baufinanzierung? Finden Sie mit VON POLL FINANCE* die richtige Immobilienfinanzierung.

Gesamtkosten: 287.850 EUR
Kaufpreis
250.000 EUR
Grunderwerbsteuer
15.000 EUR
6,00%
Maklerprovision
17.850 EUR
7,14%
Notarkosten
3.750 EUR
1,50%
Grundbucheintrag
1.250 EUR
0,50%
Passendes Finanzierungsangebot:
Eigenkapital: 71.963 EUR
Nettodarlehen: 216.000 EUR
Sollzinsbindung: 10 Jahre; Tilgungsrate: 1,00 %
Ihr Finanzierungsbeispiel:
Monatsrate:
869 EUR
pencil-edit-monthly
Sollzins: 3,83 %
Effektivzins: 3,93 %

Basierend auf einem Nettoeinkommen von 2.024 EUR und einer Eigenkapitalquote von 25 %

Darlehensanbieter: Alte Leipziger Bauspar

Baufinanzierung unverbindlich anfragen. Über 700 Darlehensgeber im Vergleich. Jetzt Ihren persönlichen Finanzierungsexperten kontaktieren.
Finanzierung berechnen

Ausstattung

  • Teilfläche 1: noch zu vermessende Teilfläche aus den Flurstücken 23 + 81
  • ca. 690 m² Gartenland
  • ca. 129 m² Straßenfläche
  • Erschließungsweg für das hintere Teilgrundstück (ca. 3,00 m)
  • massiver Bungalow (Baujahr 1984) in einfacher Steinlage (3,80m x 11,00m)
  • erschlossen mit Strom, Wasser und Abwasser
  • Die Teilfläche1 kann auch gemeinsam mit Teilfläche2 (insgesamt 1508 m²) erworben werden.

Sonstiges

GELDWÄSCHE: Als Immobilienmaklerunternehmen ist die von Poll Immobilien GmbH nach § 2 Abs. 1 Nr. 14 und § 11 Abs. 1, 2 Geldwäschegesetz (GwG) dazu verpflichtet, bei der Begründung einer Geschäftsbeziehung die Identität des Vertragspartners festzustellen und zu überprüfen, bzw. sobald ein ernsthaftes Interesse an der Durchführung des Immobilienkaufvertrages besteht. Hierzu ist es erforderlich, dass wir nach § 11 Abs. 4 GwG die relevanten Daten Ihres Personalausweises festhalten (wenn Sie als natürliche Person handeln) – beispielsweise mittels einer Kopie. Bei einer juristischen Person benötigen wir eine Kopie des Handelsregisterauszugs, aus welchem der wirtschaftlich Berechtigte hervorgeht. Das Geldwäschegesetz sieht vor, dass der Makler die Kopien bzw. Unterlagen fünf Jahre aufbewahren muss. Als unser Vertragspartner haben Sie auch eine Mitwirkungspflicht nach § 11 Abs. 6 GwG.

HAFTUNG: Wir weisen darauf hin, dass die von uns weitergegebenen Objektinformationen, Unterlagen, Pläne etc. vom Verkäufer bzw. Vermieter stammen. Eine Haftung für die Richtigkeit oder Vollständigkeit der Angaben übernehmen wir daher nicht. Es obliegt daher unseren Kunden, die darin enthaltenen Objektinformationen und Angaben auf ihre Richtigkeit hin zu überprüfen. Alle Immobilienangebote sind freibleibend und vorbehaltlich Irrtümer, Zwischenverkauf- und Vermietung oder sonstiger Zwischenverwertung.

UNSER SERVICE FÜR SIE ALS EIGENTÜMER: Planen Sie den Verkauf oder die Vermietung Ihrer Immobilie, so ist es für Sie wichtig, deren Marktwert zu kennen. Lassen Sie kostenfrei und unverbindlich den aktuellen Wert Ihrer Immobilie professionell durch einen unserer Immobilienspezialisten einschätzen. Unser bundesweites und internationales Netzwerk ermöglicht es uns, Verkäufer bzw. Vermieter und Interessenten bestmöglich zusammenzuführen.

Weiterlesen

13125 BERLIN-PANKOW – BUCH

Baugrundstück in schöner Stadtrandlage sucht Familienanschluss

ca. 819 m² 250.000 EUR

Anbieter
  • Ulf Sobeck
  • Shop Berlin - Pankow
  • Florastraße 1
  • 13187 Berlin