Ihr Bauplatz
13125 BERLIN-PANKOW – BUCH
Baugrundstück in schöner Stadtrandlage sucht Familienanschluss
250.000 EUR
Land area ca. 819 m²
Purchase Price 250.000 EUR
Provider
  • Ulf Sobeck
  • Shop Berlin - Pankow
  • Florastraße 1
  • 13187 Berlin
Application is loaded...

Real estate inquiry

Fill out the form and our real estate experts will get back to you shortly.

Your personal data

Your application will be treated confidentially.

Overview

Highlights

Details

Property ID

25071015T1

Commission

Buyer's commission is 7.14 % (incl. VAT) of the notarized purchase price

Energy information

At the time of preparing the document, no energy certificate was available.

Description

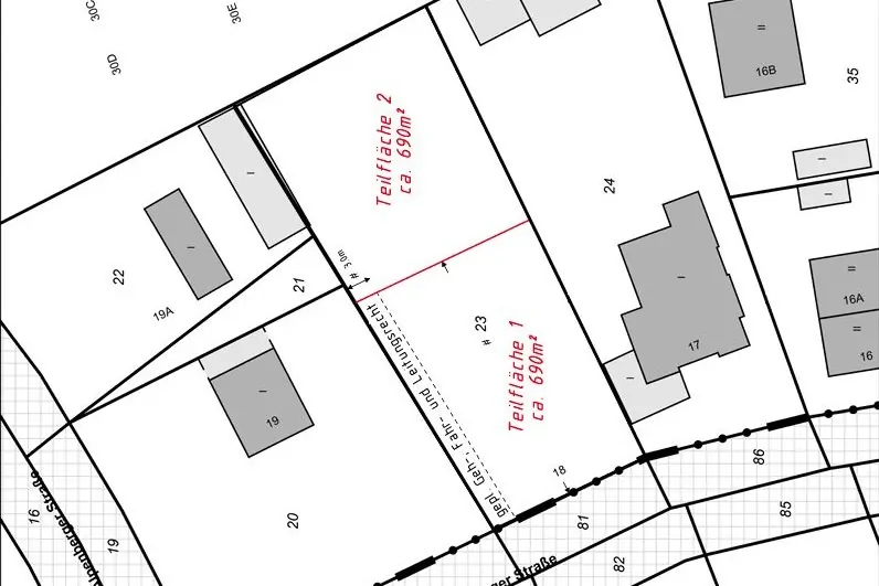
The plot we are offering has an area of approx. 690 m² (plus approx. 129 m² of street land) and is located in the Berlin-Buch district in the immediate vicinity of the Helios Clinic. It is a section of a plot of approx. 1508 m² in size that has yet to be surveyed and is situated in a quiet suburban location, almost level with the street. An access road for the rear part of the plot runs to the left. The plot can of course also be purchased in its entirety for the realization of a larger building project or for the construction of two detached houses.

On the front plot, which is for sale here, there is currently a weekend bungalow built in 1984 in solid construction, embedded in some larger plantings, which give the property its special charm. These could be retained if a detached house were to be built. Felling is therefore not absolutely necessary. The plot is already connected to water, sewage and electricity.

The immediate surroundings are characterized by detached and semi-detached houses. The property can be built on within the framework of neighboring development (§ 34 BauGB). A building to be erected must fit into the immediate surroundings in terms of the type and extent of building use, the construction method and the built-up plot area. After verbal consultation with the building authority, the construction of a one or two-storey residential building is possible. The costs for surveying, demolition of the existing building, development and other costs are to be borne by the purchaser.

We would be happy to show you the site for your dream home during a viewing appointment and look forward to receiving your inquiry.

Read more

Location

Description

Berlin-Buch is also known as "the health city". Around a third of the Pankow district consists of hospital sites, care facilities, research institutes and biotechnology and medical technology companies. The large biotech park on the Berlin-Buch campus enjoys an international reputation as an excellent scientific location for research and development.

However, Berlin-Buch has much more to offer. The particularly green and quiet location in the immediate vicinity of the Barnim Nature Park, extensive forests, beautiful lakes and the spacious castle park offer opportunities for excursions, sports and recreation and invite you to take long bike rides, walks and nature experiences. Various daycare centers, primary and secondary schools and everything you need for everyday life are within walking distance - bakeries, supermarkets, doctors and pharmacies. The Schlosspark-Passage offers a wide range of shopping opportunities.

Berlin-Buch has excellent transport links to Berlin city center. The most important destinations can be reached within 20 to 30 minutes by S-Bahn - including Friedrichstrasse, Potsdamer Platz and the main railway station, Berlin's most important S-Bahn and U-Bahn junction. You can also reach the city center or other parts of Berlin quickly and easily by car via the B 2 or the A 10.

Buch - green, quiet and yet Berlin - a location with future prospects!

Read more

Features

  • Partial area 1: Partial area from parcels 23 + 81 still to be surveyed
  • approx. 690 m² garden land
  • approx. 129 m² road area
  • Access path for the rear sub-plot (approx. 3.00 m)
  • solid bungalow (built in 1984) in simple stone construction (3.80m x 11.00m)
  • developed with electricity, water and sewage
  • Plot 1 can also be purchased together with plot 2 (1508 m² in total).

Miscellaneous

MONEY LAUNDERING: As a real estate brokerage company, von Poll Immobilien GmbH is obliged under § 2 para. 1 no. 14 and § 11 para. 1, 2 of the Money Laundering Act (GwG) to establish and verify the identity of the contractual partner when establishing a business relationship, or as soon as there is a serious interest in the execution of the real estate purchase contract. For this purpose, it is necessary for us to record the relevant data of your identity card (if you are acting as a natural person) in accordance with § 11 Para. 4 GwG - for example by means of a copy. In the case of a legal entity, we require a copy of the extract from the commercial register showing the beneficial owner. The Money Laundering Act stipulates that the broker must keep the copies or documents for five years. As our contractual partner, you also have a duty to cooperate in accordance with Section 11 (6) GwG.

LIABILITY: We would like to point out that the property information, documents, plans etc. passed on by us originate from the seller or landlord. We therefore accept no liability for the accuracy or completeness of the information. It is therefore the responsibility of our customers to check the correctness of the property information and details contained therein. All real estate offers are non-binding and subject to errors, prior sale and rental or other interim utilization.

OUR SERVICE FOR YOU AS THE OWNER: If you are planning to sell or let your property, it is important for you to know its market value. Have the current value of your property professionally assessed by one of our real estate specialists free of charge and without obligation. Our nationwide and international network enables us to bring sellers or landlords and interested parties together in the best possible way.

Read more

13125 BERLIN-PANKOW – BUCH

Baugrundstück in schöner Stadtrandlage sucht Familienanschluss

ca. 819 m² 250.000 EUR

Provider
  • Ulf Sobeck
  • Shop Berlin - Pankow
  • Florastraße 1
  • 13187 Berlin